賃貸
鳳西町ロードサイド土地
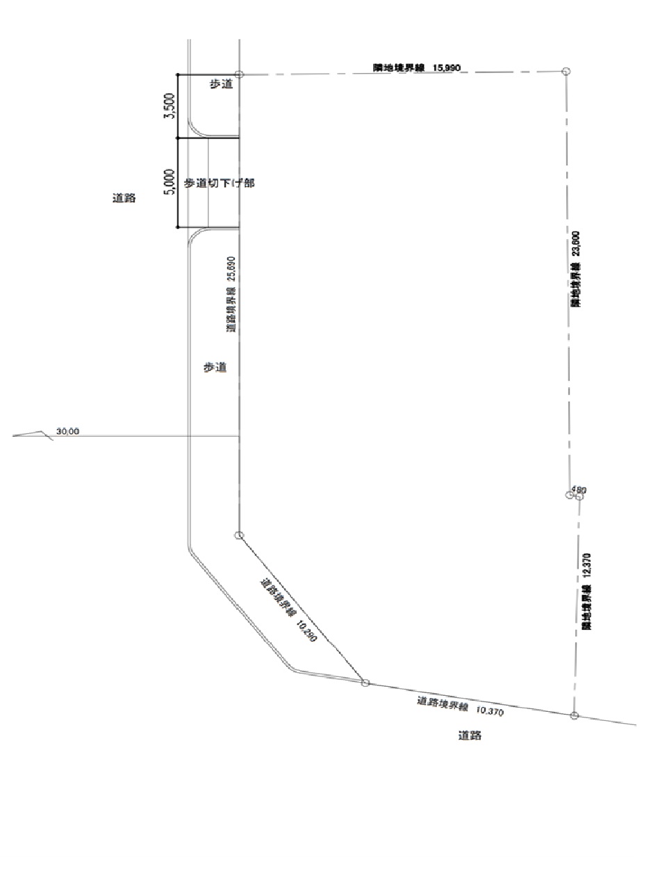
国道26号沿い 角地 駐車場確保可。ロードサイド出店に最適。533.11平米!
適用業種
物件情報
| 物件番号 | 2550120009 | 物件種目 | 貸土地 |
|---|---|---|---|
| 賃料 | 月額 75万円 税込非課税 | 保証金 | 10ヶ月 |
| 礼金 | 1.1ヶ月 | 償却 | - |
| 建物構造 / 建物階数 | / - 地下 -階 |
使用階 / 部屋番号 | |
| 面積 | 533.11㎡ | 坪数 | 161.26坪 |
| 築年年月 | 駐車場 | 有 | |
| 契約形態 | 定期借家 | 契約期間 | 20年 |
| 現況 | 空 | 引渡し | 相談 |
| 更新料 | 造作譲渡料 | - | |
| 特徴 | |||
| 備考 | 土地 更地 533.11平米 契約期間要相談。 |
|---|
アクセス
阪和線(天王寺~和歌山) / 鳳駅
店舗物件所在地
大阪府堺市西区鳳西町1丁目66-6
交通期間
最寄り駅
阪和線(天王寺~和歌山) 鳳駅 徒歩11分



