賃貸
SKビル
西武池袋線 大泉学園駅 徒歩3分 元コンビニエンスストア 1F 102区画 23.9㎡ 業種相談
適用業種
物件情報
| 物件番号 | 252012013 | 物件種目 | 貸店舗(一部) |
|---|---|---|---|
| 賃料 | 月額 22万円 税込 | 保証金 | 10ヶ月 |
| 礼金 | 1.1ヶ月 | 償却 | 解約時賃料の1.1ヶ月分 |
| 建物構造 / 建物階数 | 鉄筋コンクリート造(RC造)/ 地上3階 地下 -階 |
使用階 / 部屋番号 | 1階/102 |
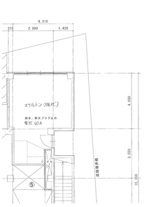
| 面積 | 23.90㎡ | 坪数 | 7.22坪 |
| 築年年月 | 1978年 9月 | 駐車場 | 無 |
| 契約形態 | 定期借家 | 契約期間 | 15年 |
| 現況 | 空 | 引渡し | 相談 |
| 更新料 | 造作譲渡料 | - | |
| 特徴 | 看板設置可/24時間利用可/天高2.5m以上/スケルトン | ||
| 備考 | *店舗総合保険(借家人賠償特約付)加入要 *家賃債務保証をご利用いただく場合があります。 *現況:スケルトン ※物販、サービス等、業種相談 |
|---|
アクセス
西武池袋線 / 大泉学園駅
店舗物件所在地
東京都練馬区東大泉6-34-30
交通期間
最寄り駅
西武池袋線 大泉学園駅 徒歩3分


