賃貸
サンブライト上高田 4階
西武新宿線「新井薬師前」駅徒歩1分。新井薬師駅商店街に面する2024年築、商業ビルの4階店舗・事務所
適用業種
物件情報
| 物件番号 | 260802010 | 物件種目 | 貸店舗(一部) |
|---|---|---|---|
| 賃料 | 月額 46.20万円 税込 | 保証金 | 8ヶ月 |
| 礼金 | 2ヶ月 | 償却 | 保証金の22% |
| 建物構造 / 建物階数 | 軽・重量鉄骨造(S造)/ 地上4階 地下 -階 |
使用階 / 部屋番号 | 4階 |
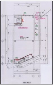
| 面積 | 76.43㎡ | 坪数 | 23.12坪 |
| 築年年月 | 2024年 5月 | 駐車場 | 無 |
| 契約形態 | 普通借家 | 契約期間 | 3年 |
| 現況 | 空 | 引渡し | 即時可能 |
| 更新料 | 新賃料の1.1ヶ月 | 造作譲渡料 | - |
| 特徴 | 天高2.5m以上/スケルトン | ||
| 備考 | *保証金:事務所の場合4ヶ月 *平面図等ありますので、ご連絡ください。 *電気設備スペック上、業種制限有り *保証会社・火災保険加入必須 *詳細図面ありますので、ご連絡ください。 |
|---|
アクセス
西武新宿線 / 新井薬師前駅
店舗物件所在地
東京都中野区上高田3-38-7
交通期間
最寄り駅
西武新宿線 新井薬師前駅 徒歩1分



